Santé

la santé et conseils pour nos Retrievers

Les dépistages conseillés

Le Retriever Club de France, par l'intermédiaire de ses commissions d'élevage, a pour mission de mettre en place des protocoles d'examens sanitaires. Pour ce faire, ces commissions, en association avec la commission santé, effectuent un travail de veille sanitaire des 6 races de retriever, et déterminent les examens de dépistages pertinents en fonction des pathologies connues et fréquentes dans chaque race.

Ainsi les 3 dépistages conseillés sont les suivants :

Mobirise Website Builder

Dépistage des maladies héréditaires oculaires canines

Mobirise Website Builder

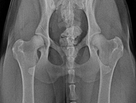
Dépistage de la dysplasie de hanches

Mobirise Website Builder

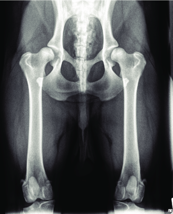
Dépistage de la dysplasie de coudes

Articles du Dr Jean-Marc Wurtz

Mobirise Website Builder

Stérilisation

Lire PDF -->

Un article du Dr Jean-Marc Wurtz paru dans le revue Nr 72 (printemps 2022) du Retriever Club de France, qui fait le point sur les dernieres connaissances scientifiques sur ce sujet.

Mobirise Website Builder

Dysplasie du coude

Lire PDF -->

Explications et point sur les denieres avancées en connaissances des origines, mécanismes, et traitements de la pathologie. Article du Dr Jean-Marc Wurtz, 2021.

Mobirise Website Builder

Dysplasie des hanches

Lire PDF -->

Explications et point sur les denieres avancées en connaissances des origines, mécanismes, et traitements de la pathologie. Article du Dr Jean-Marc Wurtz, 2022.

About

Tous vos délégués sont des bénévoles.
Si vous souhaitez participer et aider lors des manifestations contactez votre délégué le plus proche.
Nous serons ravis de votre aide.

Suivez-nous sur facebook
Help
  • si vous avez des difficultés à voir ce site, merci de nous signaler les erreurs que vous rencontrez depuis la page de contact.
  • Nous vous en remercions.

Free AI Website Software